INFORMACIÓN FITOSANITARIA 14 de agosto de 2025
A información que aportamos nos nosos boletíns fitosanitarios baséase no observado nas nosas parcelas de seguimento, noutros predios que visitamos ao azar nos nosos percorridos e tamén nas informacións que nos aportan outras persoas, técnicas sobre todo pero tamén viticultoras, e son principalmente referidas á variedade albariño no caso da viña. Con todo, hai que revisar sempre cada leira, pois pode haber situacións diferentes polas condicións particulares e/ou pola/s variedade/s, e só avaliando o estado de cada predio poderemos lograr, entre todos, unha mellor xestión dos nosos cultivos
VIÑA
A vendima vaise aproximando e moita xente xa está empezando a preparar as adegas e os medios necesarios para esa labor aproveitando que a climatoloxía permanece estable. Segundo as nosas informacións, nestes momentos estanse a barallar como datas de inicio da colleita a primeira semana de setembro para as viñas máis temperás, e a partir da segunda para o resto. E incluso se fala da última semana de agosto para quen vai facer viños espumosos e/ou para os pés de cuba. En calquera caso, a colleita presúmese moi boa ou excelente.
Tendo en conta estes datos, nas revisións desta semana ás viñas recollemos maior cantidade de mostra de uva albariña nalgunhas das nosas parcelas de seguimento para aportarlles, a modo de referencia, non só o grao alcohólico obtido senón tamén os valores de acidez, que reflectimos na seguinte táboa:
Mildio
Estes días pasados o ceo non estivo tan limpo e solleiro como as xornadas anteriores nas zonas de costa e nas proximidades de ríos e grandes masas de auga debido basicamente á presenza de néboas máis ou menos persistentes segundo as localidades ou de nubes algúns días. Pola contra, e falando en termos xerais, nas zonas do sueste de Pontevedra os ceos estiveron máis despexados e, desde xa o 25 de xullo, as temperaturas máximas non baixaron ningún día dos 30ºC.
Nas áreas nas que se rexistraron, as néboas trouxeron unha baixada relativa das temperaturas e, loxicamente, un incremento da humidade relativa que propiciou períodos de humidade foliar variables segundo a densidade e a duración das mesmas. Deste xeito, e tendo en conta que as temperaturas nocturnas seguen a ser elevadas, o ciclo do mildio veuse beneficiado e así, o volume de esporas recollido nos dous captadores que temos instalados subiu fronte ao das semanas anteriores:
Como se pode comprobar na gráfica, no captador do Salnés, que está situado nunha parcela tratada aínda que sen intervencións desde fai tempo xa, recolleuse maior nivel de esporanxios que no de Areeiro, situado en plantas sen tratar. A explicación é que a viña de Areeiro ten unhas dimensións moi reducidas e está rodeada de arboredo forestal e zona de vexetación herbácea, mentres que a do Salnés ten moita máis superficie, ademais de ser máis vigorosa que a de Areeiro, onde xa se perderon follas polo mildio.
A nivel práctico, esta maior esporulación traduciuse na aparición en folla de novas frutificacións do patóxeno, tanto a partir de manchas antigas (zonas de avance) como en calquera parte do limbo. Evidentemente, esta frutificación e as manchas en xeral son máis abundantes nas viñas con máis brotes novos, con maior frondosidade e por tanto con zonas que permaneceron pouco accesibles aos funxicidas e tamén onde transcorreu maior intervalo de tempo desde a última intervención.
Nas Rías Baixas as viñas son suficientemente frondosas en xeral como para manter vexetación suficiente para a adecuada maduración da uva neste período de tempo que resta para a vendima. Con todo, nos casos máis excepcionais nos que a planta non teña vigor, sexa moi nova e observen unha defoliación importante debida ao ataque, consulten con seus técnicos sobre como deben actuar.
Ata o final da campaña convén non descoidar tampouco as labores culturais de roza da vexetación do solo e de mantemento da aireación das viñas, máis se, como sucedeu esta semana nalgunhas áreas, hai humidade foliar polas néboas e/ou, como prevén algúns modelos meteorolóxicos, se chegan a producir precipitacións pola chegada de aire frío en altura na atmosfera que, a día de hoxe, non se anuncian como abundantes nin tampouco hai seguridade total de que nos afecten.
Oidio
Nas revisións desta semana só observamos novos síntomas desta enfermidade nas plantas testemuña que non recibiron tratamento algún en toda a campaña. Eses síntomas se manifestan nalgunhas destas plantas en forma de manchas amarelo claro que desde lonxe semellan ser de mildiu pero que, examinándoas de cerca, son deste outro patóxeno, e de feito nalgunhas delas se observa o característico micelio cincento na parte superior das manchas.
Botrite (e outras podres)
Como sabemos, este ano o estado da uva a nivel de danos é moi bo en xeral. Con todo, algunha pequena ferida sempre pode haber nalgúns grans a consecuencia de rachados fisiolóxicos, de pedras que poden saltar nas rozas, de perforacións de avelaíñas, etc. Estas feridas son portas de entrada á botrite e a outras podres, en especial ante condicións meteorolóxicas favorables. De feito, na revisións desta semana atopamos unhas poucas uvas afectadas por estes patóxenos en viñas onde as néboas foron densas ou máis persistentes, xa que por exemplo en variedades ben sensibles como treixadura ou loureira doutras zonas, os grans non amosaban síntoma algún a pesar de amosar, as da primeira variedade (ou tamén o albariño), microferidas causadas polos paxaros ou as avespas ao alimentarse.
Como dixemos anteriormente, algúns modelos meteorolóxicos prevén, coa incerteza propia das predicións a medio-longo prazo, un cambio de tendencia na climatoloxía, incrementándose a inestabilidade e a probabilidade de choivas. A día de hoxe, a contía e intensidade desas posibles choivas sería de poucos litros pero, en caso de que sexan de máis entidade, para limitar potenciais danos por podres lembren que hai produtos naturais diferentes do cobre (algúns formulados a base de fungos, bacterias ou lévedos beneficiosos, ou de terpenos de plantas) sen prazo de seguridade ou só de 7 días que aínda poderían empregarse eventualmente.
Avelaíñas do acio
Esta semana só capturamos 4 adultos de Lobesia botrana nunha das nosas trampas, e tampouco observamos síntomas da súa actividade máis alá dos tres acios afectados que atopamos no conxunto de predios revisados. En realidade sabemos que, salvo excepcións, este ano apenas ten habido problemas con estes parasitos.
Cicadelidos
Tamén a poboacións de Empoasca vitis foron reducidas á vista das capturas nas nosas trampas e dos recontos feitos ás follas. Na maioría dos predios que temos no Salnés non se aplicou ningún insecticida na campaña polo que non alteramos as poboacións naturais, pero nas restantes do Salnés, así como nas de Condado e Rosal, as viñas recibiron tratamentos insecticidas piretroides fronte á acariose (Salnés) e, nas últimas comarcas, fronte a Scaphoideus titanus, o transmisor da flavescencia dourada, aínda que non se tiveran capturas do insecto ou non se observaran ninfas no seu momento.
Falando da flavescencia, agora coa vendima próxima, xa non convén tratar con insecticidas (salvo que estes sexan naturais pero comprobando ben o prazo de seguridade, pois algún formulado si o ten dun poucos días). E lembren que outras medidas fronte a esta perigosa enfermidade son arrincar e destruír tamén aquelas plantas desas zonas que amosen conxuntamente varios síntomas da enfermidade, entre os que se atopan:
- - follas reviradas cara o envés de forma triangular e con manchas, normalmente delimitadas polas nervaduras, de cor avermellada nas follas das variedades tintas e crema-amarelada metalizada nas de variedades brancas, coa posibilidade de que os nervios tamén se descoloren;
- - follas endurecidas e quebradizas que poden adquirir unha disposición en forma de tellas, superpostas unhas sobre outras, debido ao acortamento dos entrenós;
- - acios parcialmente secos e con maduración incompleta, ou totalmente secos e engurrados;
- - pampos decaídos, faltos de lignificación, flexibles e colgantes, que dan ao conxunto da cepa un aspecto chorón.
- - perda de follas e secado da planta.
Tamén é conveniente arrincar as plantas abandonadas, pois poden albergar aos dous parasitos.
Acariose
Do mesmo xeito que dixemos antes, ante a proximidade da vendima non convén xa realizar tratamentos fronte aos ácaros, pero tamén é certo que esta semana apenas observamos novos. Iso si, despois da colleita, e como medida de prevención de potenciais danos na brotación para a campaña seguinte, é recomendable aplicalos, en especial onde este ano houbo máis síntomas. E, como informamos a semana anterior, lembren que se os síntomas afectan a moitas plantas dun predio determinado, non se deu aínda un tratamento e sobre todo se hai plantas novas na parcela, aínda se podería realizar unha intervención se é que se fai con xofre 80% ou maltodextrin 47,6%, pois con estes produtos non hai que agardar prazo de seguridade.
Outras incidencias
Sen dúbida son as patoloxías de madeira o máis destacable esta semana, pois coa climatoloxía que temos está a manifestarse en moitas plantas, incluso nalgunhas que sustentan unha excelente cantidade de acios en bo estado e que están a murchar rápida ou progresivamente debido a estes fungos.
Lembramos unha vez máis que as plantas e tamén os brazos mortos hai que eliminalos canto antes para evitar que, en condicións favorables, poidan producir esporas que contaminen ás plantas sas. Ademais, nestes momentos é moito máis sinxelo visualizar as partes sintomáticas. De non poder facelo agora, marquen ben as plantas/brazos afectados para eliminalos despois da vendima o antes posible e sempre en tempo seco e desinfectando os útiles de corte.
Aparte destas patoloxías, tamén os golpes de sol se incrementaron sensiblemente, así como os danos por paxaros e tamén por avespas, tanto a común como agora tamén ben estendida, a asiática.
VARIAS ESPECIES VEXETAIS
Halyomopha halys ("chinche castaña marmoreada")
A semana pasada capturamos os primeiros exemplares desta chinche fedorenta tanto na trampa que temos instalada na nosa parcela de Areeiro (1 adulto) como nunha que temos en Goián (2 adultos), aínda que xa tiñamos coñecemento de capturas anteriores noutras trampas.
Este insecto, nativo do noreste asiático, está en Europa desde 2004 e en España desde 2016 (Cataluña); en Galicia, a primeira publicación da súa presenza é de 2024 pero baseada en observacións rexistradas desde outubro de 2021, e por iso temos que considerar que polo menos está aquí desde hai case catro anos.
Halyomorpha halys pode alimentarse de moitísimas especies vexetais, desde froiteiras (cítricos, kiwis, uvas, maceiras e pereiras, pexegos...) a plantas de horta (millo, leguminosas, pementos, tomates...), e tamén ornamentais e forestais. Os estados inmaduros (ninfas) soen succionar das follas e tallos, mentres os adultos se alimentan dos froitos, nos que produce decoroacións, manchas circulares afundidas, áreas necrosadas e, nos froitos novos, un crecemento anormal e deformacións. Así, pode chegar a causar graves danos e seu impacto pode chegar a ser moi grande.
Con todo, polo de agora non recibimos no laboratorio ningunha mostra na que puideramos confirmar estes danos. Nin tampouco no outono-inverno pasados recibimos consultas acerca da presenza destes insectos nas vivendas, xa que os adultos soen refuxiarse nas casas (ventás, caixas de persianas, gretas en paredes...), pendellos ou almacéns, etc. para hibernar, ás veces en agrupacións de varios individuos, e poden liberar un molesto cheiro fedorento cando se senten ameazados. Hai que destacar que non causan danos ás persoas nin actúan como vectores de enfermidades aos humanos ou aos animais.
NOGUEIRA
Mosca da casca verde da noz, Rhagoletis completa
De forma máis global empezan a ser visibles os síntomas causados polas larvas desta mosca, é dicir, noces caídas ao solo completamente negras e podres coas larvas que se ven perfectamente ao separar a casca exterior. Lembren que, amais do uso de trampas, retirar o antes posible as noces caídas, así como poñer algunha lona no solo, limitará o número de larvas que se enterrarán e darán lugar a novos adultos.
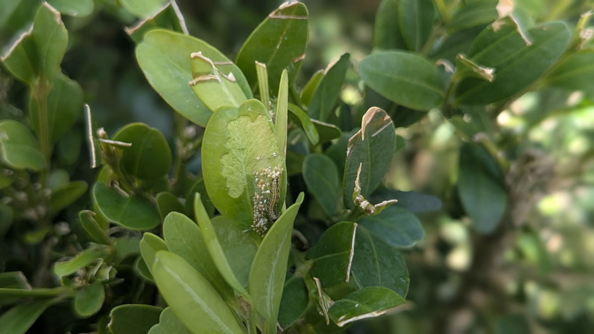
BUXO
Cydalima perspectalis
A pasada semana recollemos novos adultos da praga en varias das trampas que temos instaladas, nunha delas ademais das dúas formas que presenta o adulto desta especie. Tamén nun caso observamos unha eiruga xa alimentándose. Por este motivo, e mentres a climatoloxía permaneza similar á deste último mes e os días continúen a ser longos) hai que estar moi alertas ás sebes ou ás plantas de buxo que se desenvolven libremente, pois probablemente será preciso tratar nos próximos días.

































